Die DHd Konferenz findet im Jahr 2017 an der Universität Bern statt. Das Programm spielt sich verschiedenen Gebäuden der Universität ab. Einen
allgemeinen Überblick über die Gebäude erhalten Sie hier.
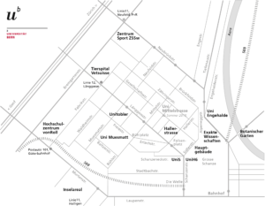
Die Tagung findet mehrheitlich an der Unitobler (Lerchenweg 36)
statt. Die Eröffnung sowie andere
Plenarveranstaltungen wird im Von Roll (Fabrikstrasse 6)
durchgeführt. Für die Posterausstellung sowie den
Posterslam mit der anschliessenden Preisverleihung steht ein Raum im Eventforum (Fabrikstrasse 12) zur
Verfügung. Die Mitgliederversammlung schliesslich wird in der UniS (Schanzeneckstrasse 1) durchgeführt.
Bitte melden Sie sich bei Ihrer Ankunft im Konferenzsekretariat (F001, Unitobler, Lerchenweg 36) an.
Die Unitobler erreichen Sie ganz einfach zu Fuss vom Bahnhof Bern in ca. 15 Minuten. Am
einfachsten benützen Sie dafür den Ausgang über die Welle, dann folgen Sie
der Länggassstrasse nach oben. Nach ca. 700m kommen Sie zum blauen Unitobler Gebäude
auf der linken Seite.
Alternativ können Sie am Bahnhof den Bus Nr. 12 (Richtung Länggasse) nehmen und an der
Haltestelle Mittelstrasse aussteigen. Von dort sind es dann noch ca. 200m (in Fahrtrichtung) bis zur
Unitobler.
